tree with green balls on leaves
The pecan stem phylloxera Phylloxera devastatrix is the worst. Trees suffering from oak leaf blister will develop raised spots scattered on the leaves.
Complete Guide To Black Walnut Trees Juglans Nigra Growit Buildit
Beech trees are deciduous trees belonging to the genus Fagus.
. Most walnut leaves also have a single leaf at the end of the twig. These galls may look like they are hurting the. The largest leaflets are at the center and the leaves.
Beech tree seeds measure 05 to 1 112 25 cm long and the spiky burs are slightly larger. Green Balls That Grow on Oak Trees. It makes large green galls on leaves stems twigs and even on the nuts.
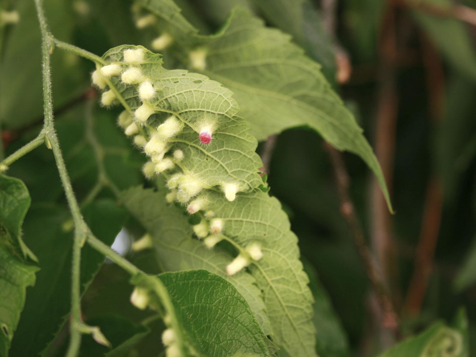
Another possible cause of yellow leaves is that the plant is in a room with hot or cold drafts that are drying out the leaves. The pecan stem phylloxera is mainly. Odd little bumps on leaves and funny protuberances on your plants foliage may be a sign of pest bacterial or fungal problems.
Underneath leaves will feel slightly sunken or indented. Thats what was plaguing. Search from Tree With Green Balls stock photos pictures and royalty-free images from iStock.
Some of these abnormal plant cell growths called galls are. 13 hours agoHBServices USA. Walnut tree leaves are pinnate that have pairs of leaflets.
Maple Acer spp leaves are often infested with a wide variety of brilliantly colored odd-shaped galls and blotches. Oak trees are prone to infestation from a variety of pests many of whom are identified by the damage that they inflict on the tree. If you have a tree with showy green balls it may be the English walnut tree Juglans regia or black walnut tree Juglans nigra hardy in USDA zones 3 to 7.
A simple Charlie Brown Style a live one outdoors with only white lights and red bows a tree with. Find high-quality stock photos that you wont find anywhere else. These little balls called oak galls are a common occurrence caused when the tree reacts to non-stinging wasps laying their eggs on its leaves branches twigs or flowers.
There are many styles of decorated trees I like so I usually have 5 theme Christmas Trees. Magnolia have large glossy green leaves with rust-colored hairs on the under-surface. Live oaks have long slender deciduous leaves and small acorns.
These little balls called oak galls are a common occurrence caused when the tree reacts to non-stinging wasps laying their eggs on its leaves branches twigs or flowers.
November 2012 Schwingeninswitzerland
Any Ideas What These Little Balls Are Under My Oak Leaves Round Rock Area R Austin
Green Balls Oak Apple Oak Gall On Oak Leaves In Which An Insect Gall Wasp Cynips Quercusfolii Develops Canstock
Leaf Galls Common To Oak Trees Indiana Yard And Garden Purdue Consumer Horticulturepurdue University Indiana Yard And Garden Purdue Consumer Horticulture
Survival Skills 5 Survival Uses Of The Black Walnut Tree Outdoor Life
Maple Gall Mites Eriophyidae Wisconsin Horticulture
Plant Galls The Morton Arboretum
How To Deal With Leaf Galls Bumps On Your Tree S Leaves
The Osage Orange Tree S Purpose Evolved As History Developed
The Gall Of That Oak Tree Opening The Door Walking Outside
Black Walnut Tree Toxicity What Plants Are Immune Grow Organic
What S The Deal With Those Weird Bumps On Tree Leaves Open Spaces Trib Com
My Leaves Have These Weird Bumps And Lumps On Them Arborsmith Ltd Crafstman In The Care Of Trees
This Is A Tree With Clusters Of Green Balls With 3 Ridges And A Flower On T Flowers Forums




